

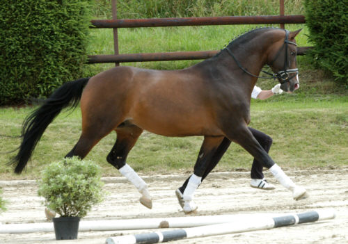
Trakehner Prämienhengst, braun, geb. am 08.05.1993, Stockmaß: 167 cm

Als Prämienhengst der Körung 1995 in Neumünster, verkörpert er in typischer Machart die von Adel geprägte Dynastie seines Vaters Arogno. ELITÄR verfügt über den großzügig linierten Rechteckrahmen eines topaktuellen Beschälers mit schöner trockener Textur und vornehmer Selbsthaltung. Seine Grundgangarten sind geprägt durch einen fleißigen, taktsicheren Schritt, einen schwungvollen Trab und eine gute Galoppade. Seine hohe Dressurveranlagung bewies er in seiner Hengstleistungsprüfung in Warendorf 1996.

ELITÄR's Nachkommen sind
typvoll, stark in Gebäude und Fundament und vorzüglich in Geschmeidigkeit und
Schwung der Bewegungen. Seine frohwüchsigen Fohlen verfügen über eine trockene
Textur des wohlproportionierten Körpers. Die Gesichter sind gekennzeichnet durch
ein gutes Auge, die Hälse sind passend, der Rahmen stimmt und die Fundamente
sind auffallend korrekt und kräftig mit gut ausgeprägten Gelenken. Im Gang
gefallen die ELITÄR - Fohlen durch eine betonte Antrittsstärke.
Sportliche, bedeutende und markant modellierte Fohlen mit kraftvollen, modernen
Bewegungen bestätigen seine hohen Vererberqualitäten.
Er hat einige sehr gute Nachkommen in Zucht und Sport. So stellte ELITÄR
mit dem Hengst Minetti bereits einen gekörten Sohn. Auf dem Trakehner
Hengstmarkt 2007 war Elitär mit seinem Sohn Tasco, gezogen von Frau Dr. Söchtig,
Gut Elmarshausen, vertreten.